New Search Family, Subfamily and Tribe List

SubFamily Lamiinae

Tribe Batocerini
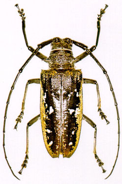
Batocera ammiralis Breuning 1947

Sex: m
Photographer: Frédéric Robin
Collection Location: Manus Island, Papua New Guinea
78093


Determiner: Les Coleopteres du Monde
32723

130425