New Search Family, Subfamily and Tribe List

SubFamily Cerambycinae

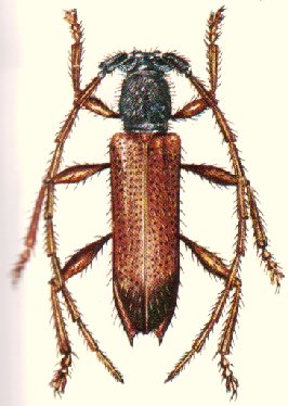
Tribe Piezocerini Piezocerina
Gorybia martes Pascoe 1866

Specimen Type: holotype
Sex: f
Institution: BMNH British Museum Natural History, London, UK
Photographer: Gerard Tavakilian
Collection Location: Espirito Santo, Brazil
16694


21938


Photographer: Larry G. Bezark
8076

130425