_Kreische_Indonesia_USNM.jpg)
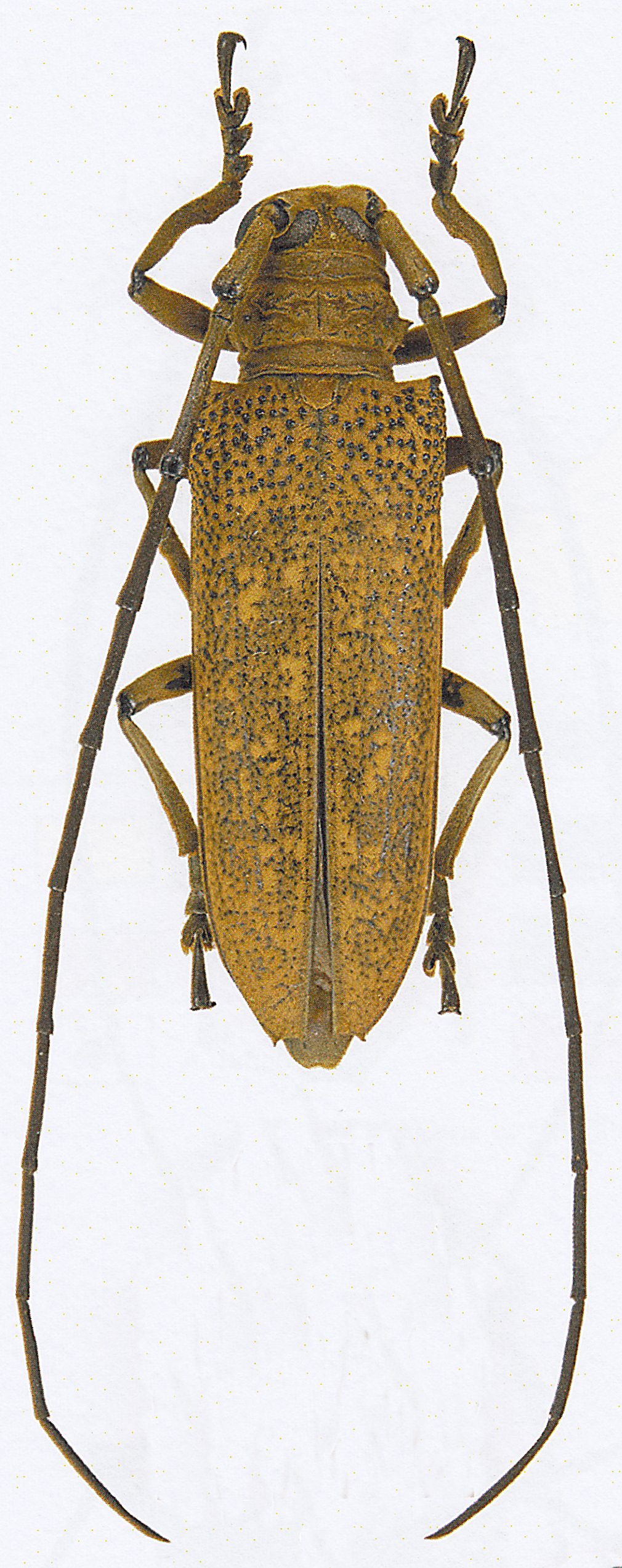
Apriona durga Kresiche Specimen Type: syntype Institution: NMNH United States National Museum, Washington, DC, USA Photographer: Steve Lingafelter Collection Location: Singalang, West Sumatra, Indonesia 32275
|
_Kreische_NMNH_Singaling_WSumatra_SWL3_now_neglecta.jpg)
Apriona durga Kreische Specimen Type: syntype Institution: NMNH United States National Museum, Washington, DC, USA Photographer: Steve Lingafelter Collection Location: Singalang, W Sumatra 41857
|