_Hope_OXUM_Nepal_now_Apriona_Jiroux_Pic.jpg)
Lamia germarii Hope Specimen Type: holotype Sex: f Institution: OXUM Hope Department of Entomology, Oxford University Museum of Natural History, England Photographer: Eric Jiroux Collection Location: Nepal 73695
|
_Hope_OXUM_Nepal_now_Apriona_Jiroux_Pic.jpg)
Lamia germarii Hope Specimen Type: holotype Sex: f Institution: OXUM Hope Department of Entomology, Oxford University Museum of Natural History, England Photographer: Eric Jiroux Collection Location: Nepal 73696
|
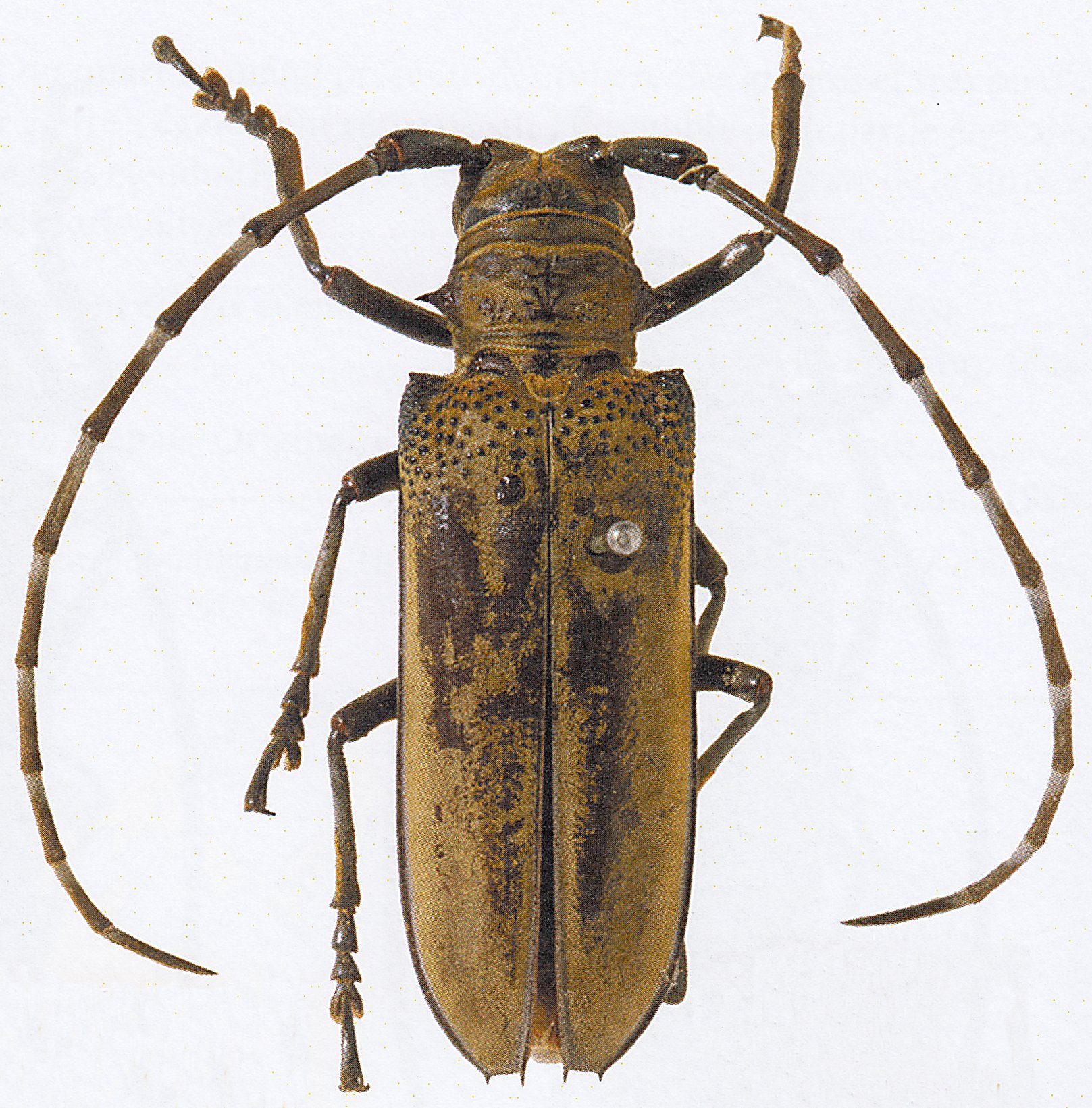
_Kaup_HLMD_Sylhet_Chittagong_Banbgladesh_now_Apriona_germarii_Jiroux_Pic.jpg)
Batocera deyrollei Kaup Specimen Type: holotype Sex: m Institution: HMLD Darmstadt - Hesse Regional Museum Photographer: Eric Jiroux Collection Location: Sylhet, Chittagong, Banbgladesh 73652
|
_Kaup_HLMD_Sylhet_Chittagong_Banbgladesh_now_Apriona_germarii_Jiroux_Pic.jpg)
Batocera deyrollei Kaup Specimen Type: holotype Sex: m Institution: HMLD Darmstadt - Hesse Regional Museum Photographer: Eric Jiroux Collection Location: Sylhet, Chittagong, Banbgladesh 73653
|
_Thomson_MNHN_Sylhet_Chittagong_Bangladesh_now_germarii_Jiroux_Pic.jpg)
Apriona cribrata Thomson Specimen Type: holotype Sex: m Institution: MNHN Museum of Natural History Paris, France Photographer: Eric Jiroux Collection Location: Sylhet, Chittagong, Bangladesh 73580
|
_Thomson_MNHN_Sylhet_Chittagong_Bangladesh_now_germarii_Jiroux_Pic.jpg)
Apriona cribrata Thomson Specimen Type: holotype Sex: m Institution: MNHN Museum of Natural History Paris, France Photographer: Eric Jiroux Collection Location: Sylhet, Chittagong, Bangladesh 73581
|
_Tam_Dao_Vietnam_SWL.jpg)
Institution: NMNH United States National Museum, Washington, DC, USA Photographer: Steve Lingafelter Collection Location: Tam Dao, Vinh Phuc Province, Vietnam 37619
|

Institution: LGBC Larry G. Bezark Collection, Sacramento, California, USA Photographer: Larry G. Bezark Collection Location: Cameron Highlands, Malaysia 32281
|
_(Hope)_Japan_Tokyo_Shinagawa_Yashio_Ziakro.jpg)
Sex: m Photographer: Szczepan Ziarko Collection Location: Shinagawa Yashio, Tokyo, Japan 32282
|
|