_Chev_BMNH_Almoral_Uttaranchal_India_Jiroux_Pic.jpg)
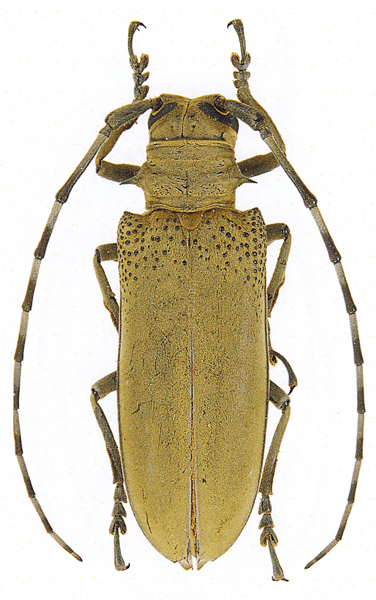
Specimen Type: holotype Sex: f Institution: BMNH British Museum Natural History, London, UK Photographer: Eric Jiroux Collection Location: Almoral, Uttaranchal, India 73576
|
_Chev_BMNH_Almoral_Uttaranchal_India_Jiroux_Pic.jpg)
Specimen Type: holotype Sex: f Institution: BMNH British Museum Natural History, London, UK Photographer: Eric Jiroux Collection Location: Almoral, Uttaranchal, India 73577
|