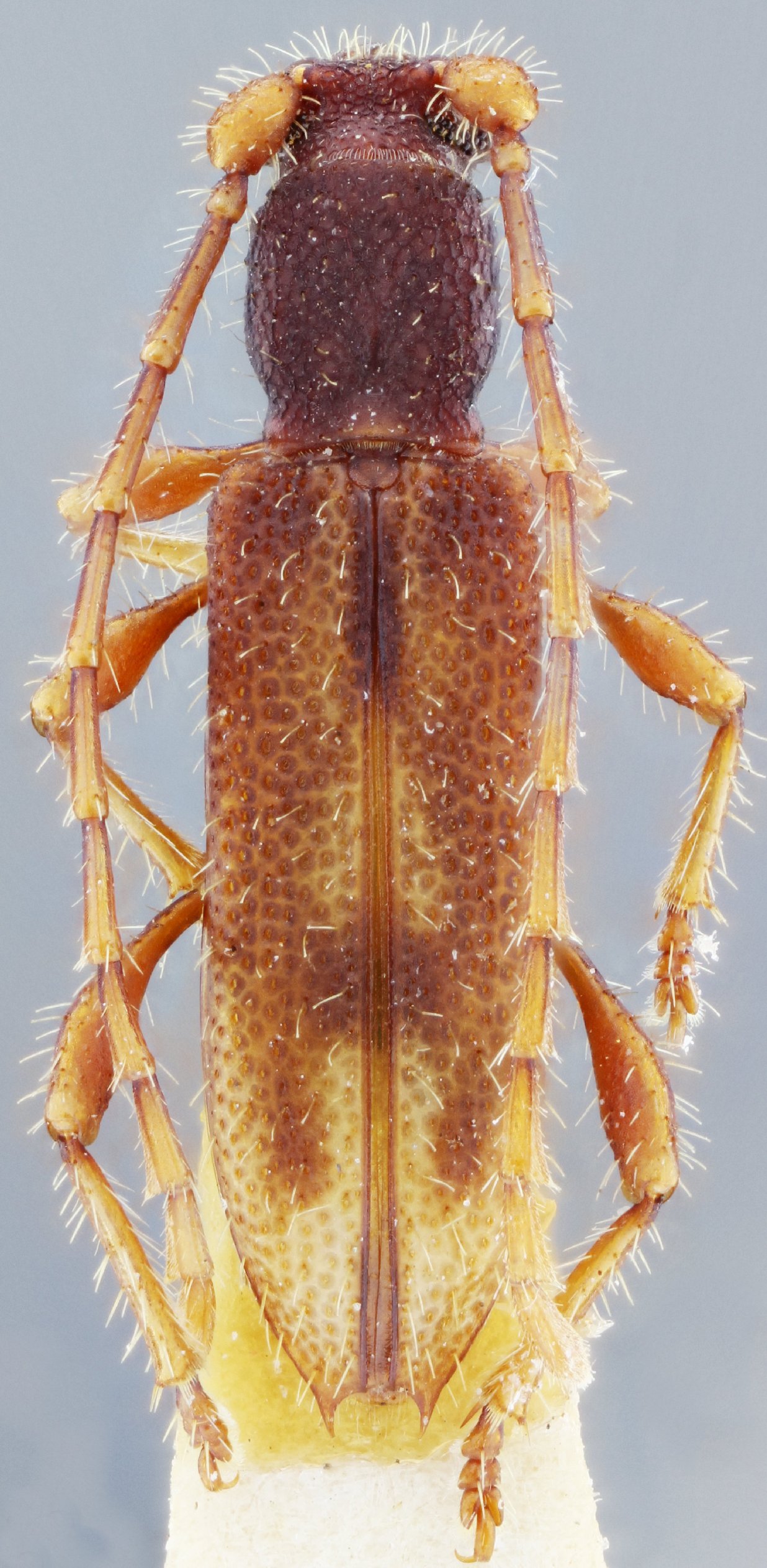
_Martins_MZSP_Isla_dos_Buzios_SP_Braz_SS.jpg)
Specimen Type: holotype Sex: m Institution: MZSP Museu de Zoologia da Universidade de São Paulo, Brazil Photographer: Antonio Santos-Silva Collection Location: Isla dos Buzios, Sao Paolo, Brazil 68594
|
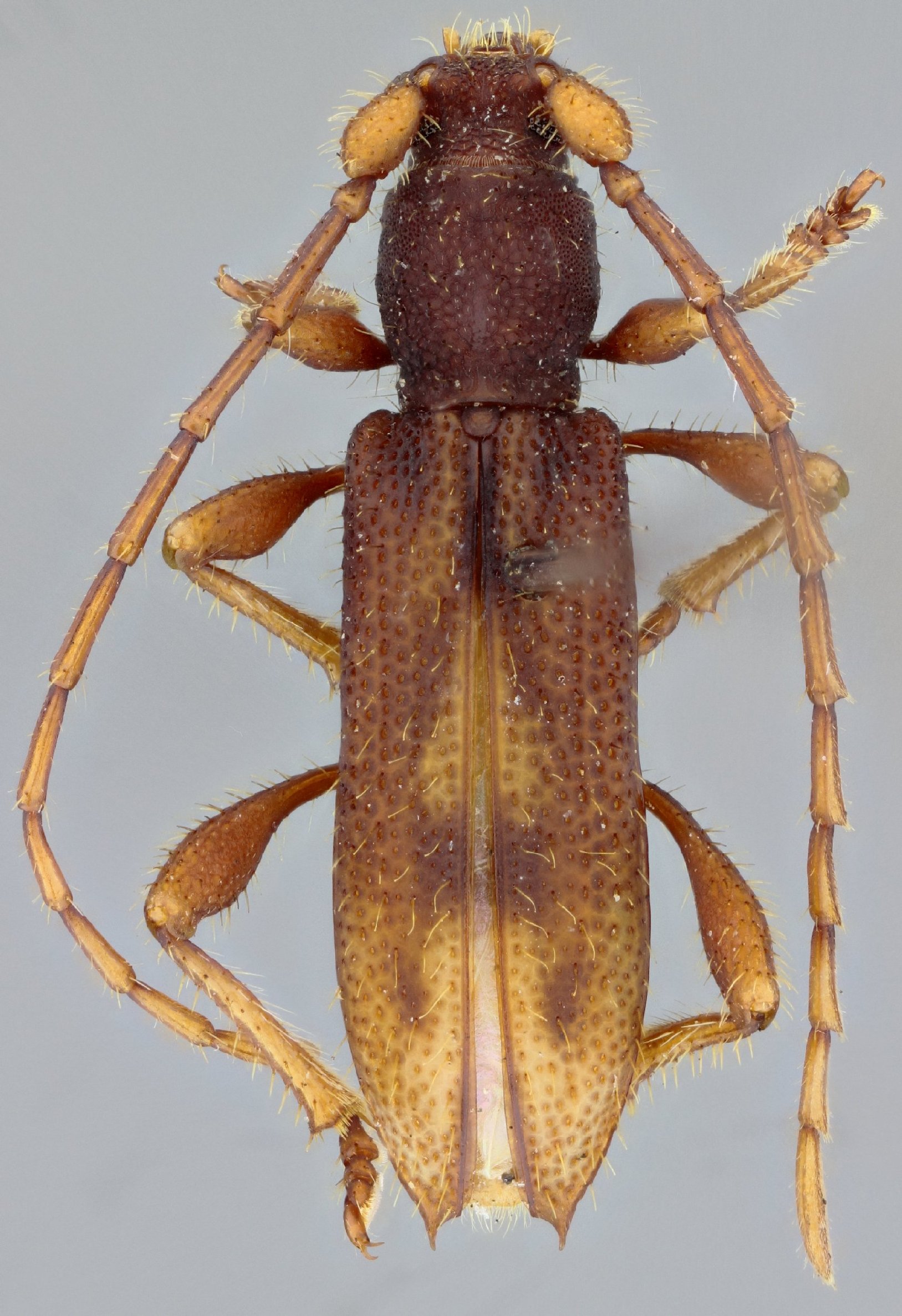
_Martins_MZSP_SP_Brazil_SS.jpg)
Specimen Type: paratype Sex: m Institution: MZSP Museu de Zoologia da Universidade de São Paulo, Brazil Photographer: Antonio Santos-Silva Collection Location: Isla dos Buzios, Sao Paolo, Brazil 68595
|
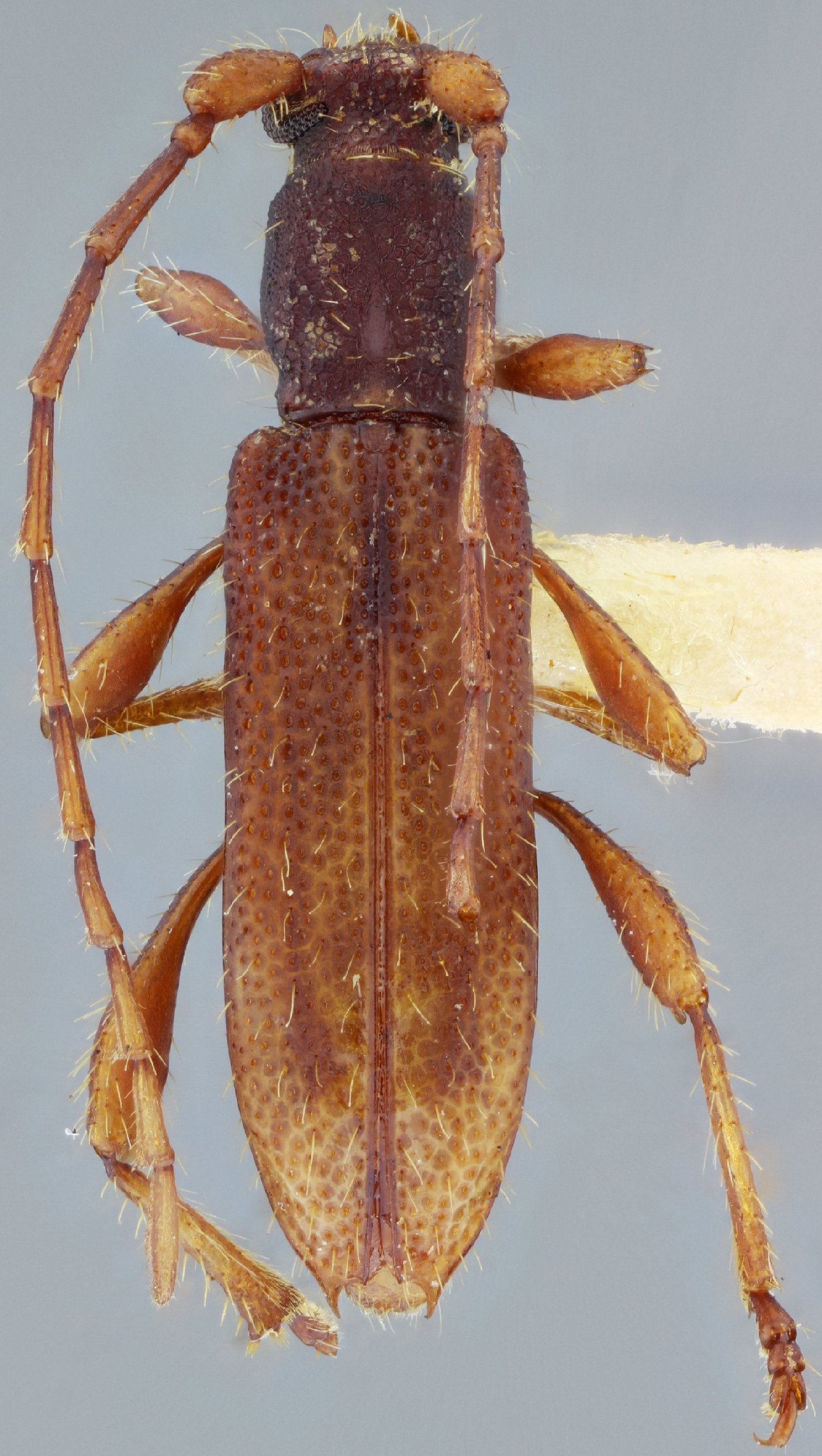
_Martins_MZSP_SP_Brazil_SS.jpg)
Specimen Type: paratype Sex: m Institution: MZSP Museu de Zoologia da Universidade de São Paulo, Brazil Photographer: Antonio Santos-Silva Collection Location: Isla dos Buzios, Sao Paolo, Brazil 68596
|
_Martins_MZSP_SP_Brazil_SS.jpg)
Specimen Type: paratype Sex: f Institution: MZSP Museu de Zoologia da Universidade de São Paulo, Brazil Photographer: Antonio Santos-Silva Collection Location: Isla dos Buzios, Sao Paolo, Brazil 68597
|
_Martins_MZSP_Asuncion_Paraguay_SWL.jpg)
Specimen Type: holotype Sex: m Institution: NMNH United States National Museum, Washington, DC, USA Photographer: Steve Lingafelter Collection Location: Asuncion, Paraguay 68598
|
_Martins_MZSP_Asuncion_Central_Paraguay.jpg)
Gorybia maculosa Martins Specimen Type: holotype Sex: m Institution: NMNH United States National Museum, Washington, DC, USA Photographer: Larry G. Bezark Collection Location: Asuncion, Central Paraguay 33457
|

Institution: Universidad Nacional del
Nordeste, Argentina Photographer: Nestor Valle Collection Location: El Bagual, Chaco, Argentina 81175
|
|