 Thomson MNHN Malaysia now Tetraophthalmus XG.jpg)
Astathes bipartita Thomson Specimen Type: syntype © MNHN Institution: MNHN Museum of Natural History Paris, France Photographer: Xavier Gouverneur, Cerambycoidea Forum Collection Location: Malaysia 101220
|
_Gahan_Borneo.jpg)
Astathes perversa Gahan Specimen Type: holotype Institution: MNHN Museum of Natural History Paris, France Collection Location: Pontianak, Kalimantan-Ouest (île de Borneo), Indonesia 32514
|
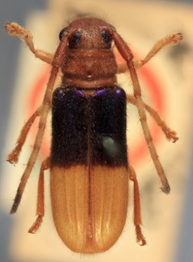
 Gahan MNHN Pontianak, Kalimantan, Borneo now Tetraophthalmus bipartitus XG.jpg)
Astathes perversa Gahan Specimen Type: holotype © MNHN Institution: MNHN Museum of Natural History Paris, France Photographer: Xavier Gouverneur, Cerambycoidea Forum Collection Location: Pontianak, Kalimantan, Borneo 101236
|
_Pascoe_BMNH_Sumatra_Nearns_now_Tetraophth_bipartitus.jpg)
Astathes pulchella Pascoe Specimen Type: syntype Institution: BMNH British Museum Natural History, London, UK Photographer: Gino Nearns Collection Location: Sumatra 63362
|
|