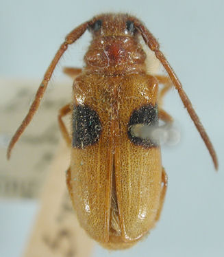
_Fabr_Antigua_ZMK_Nearns_now_Tetraophthalmus.jpg)
Cerambyx bimaculatus Fabricius Specimen Type: syntype Institution: ZMUC University of Copenhagen, Zoological Museum, København, Denmark Photographer: Gino Nearns Collection Location: Antigua 46016
|

Photographer: Hemant Ghate Collection Location: India 63674
|
_Det_Breuning_CAS.jpg)
Institution: CAS California Academy of Sciences, San Francisco, CA, USA Photographer: Larry G. Bezark Determiner: Breuning 63675
|
|