New Search Family, Subfamily and Tribe List

SubFamily Lamiinae

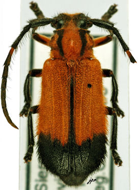
Tribe Astathini
Hecphora latefasciata (Jordan, 1894)

Institution: BMNH British Museum Natural History, London, UK
Photographer: Keita Matsumoto
Collection Location: Guinea
72163


Sex: m
Photographer: JP Roguet, https://lamiinae.org
Collection Location: Occra Hills, N Province, Sierra Leone
50775


Determiner: Les Cahiers
50776

130425