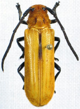
 Newman MNHN Calabugao, Bukidnon, Mindaanao, Philippines Medina pic.jpg)
Specimen Type: holotype Sex: f Institution: MNHN Museum of Natural History Paris, France Photographer: Milton Medina Collection Location: Calabugao, Bukidnon, Mindanao, Philippines 101644
|

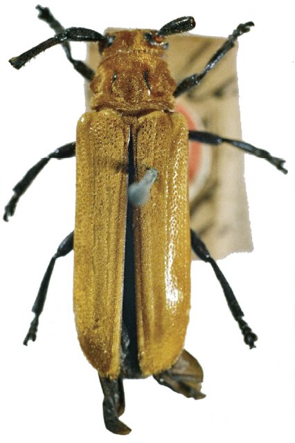
Photographer: Gyula Vida, Cerambycoidea Forum Collection Location: Mindoro, Philippines 49700
|
_Newman_Mindanao_Philippines_Det_Heffern_Cabigas_photo.jpg)
Sex: m Photographer: Estan Cabigas Determiner: Dan Heffern Collection Location: Mindanao, Philippines 40566
|

Collection Location: Philippines 40567
|

Institution: CAS California Academy of Sciences, San Francisco, CA, USA Photographer: Larry G. Bezark Collection Location: Philippines 40568
|

Institution: LGBC Larry G. Bezark Collection, Sacramento, California, USA Photographer: Larry G. Bezark Collection Location: Panay Island, Philippines 40569
|
|