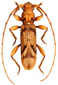
 White Piste de Kaw, French Guiana Tava.jpg)
Sex: m Photographer: Gerard Tavakilian Collection Location: Piste de Kaw, French Guiana 89982
|
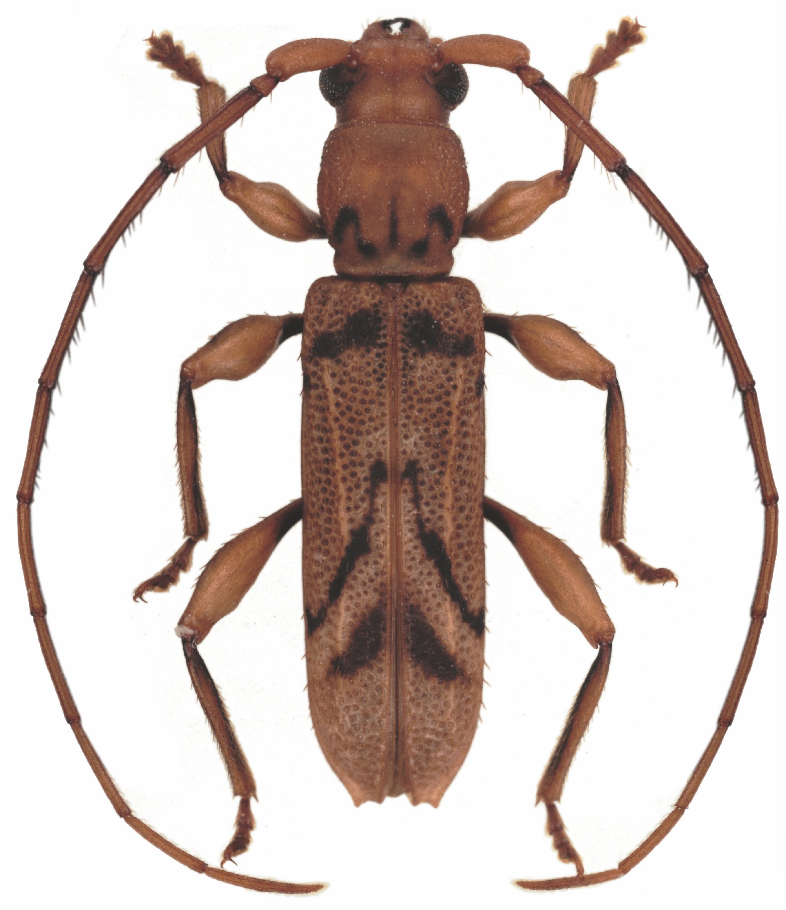
 White Piste de Kaw, French Guiana Tava.jpg)
Sex: f Photographer: Gerard Tavakilian Collection Location: Piste de Kaw, French Guiana 89983
|
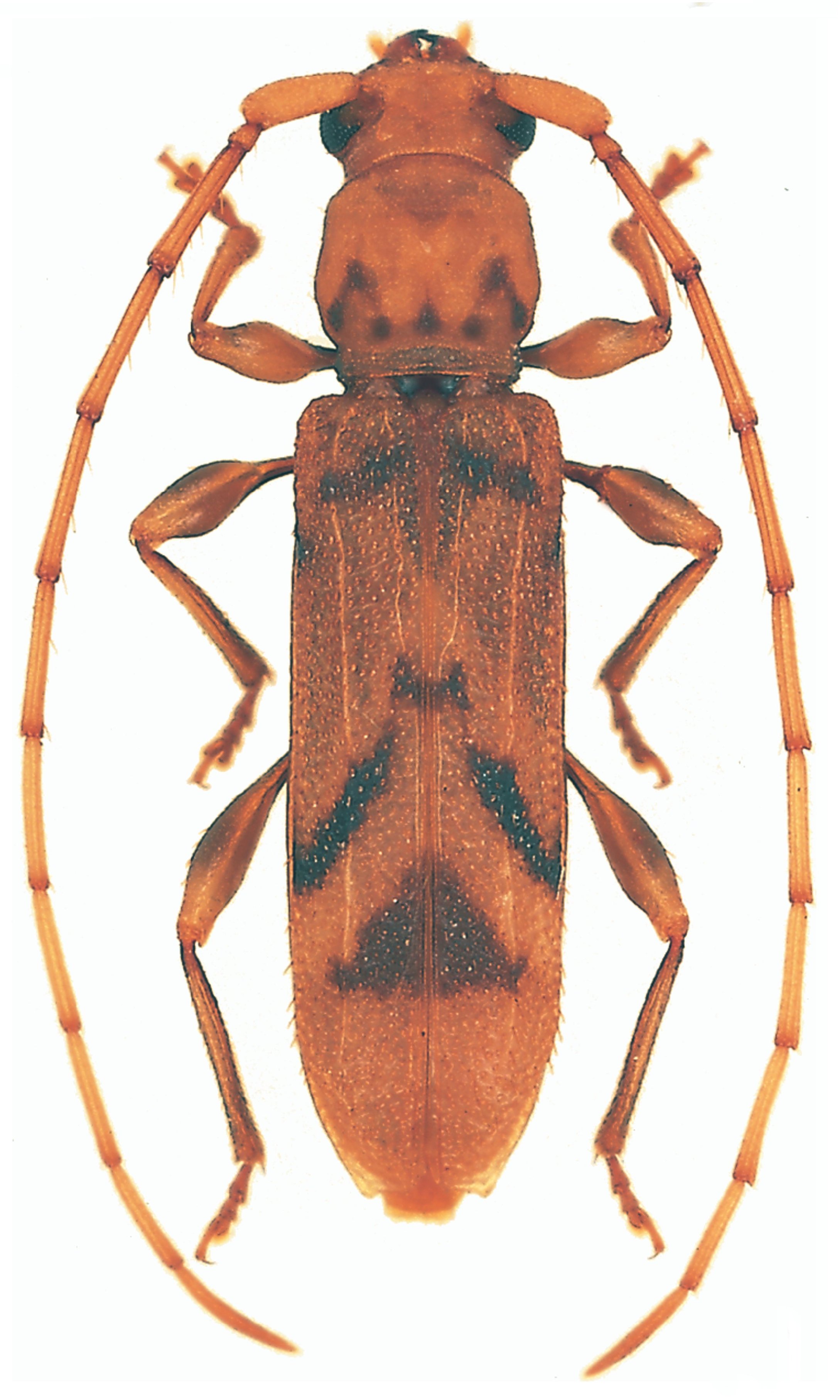
_St_Laurent_Fr_Guiana_Giuglaris.jpg)
Sex: mf Photographer: Jean-Louis Giuglaris Collection Location: St Laurent, French Guiana 28804
|
_Martins_Arq_de_Zoo.jpg)
21952
|

Photographer: Odette Morvan Collection Location: French Guiana 31498
|
|