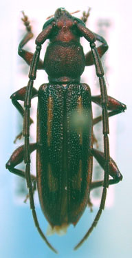
 Bates Camp des Nourages, French Guiana Tava.jpg)
Sex: m Photographer: Gerard Tavakilian Collection Location: Camp des Nourages, French Guiana 89980
|
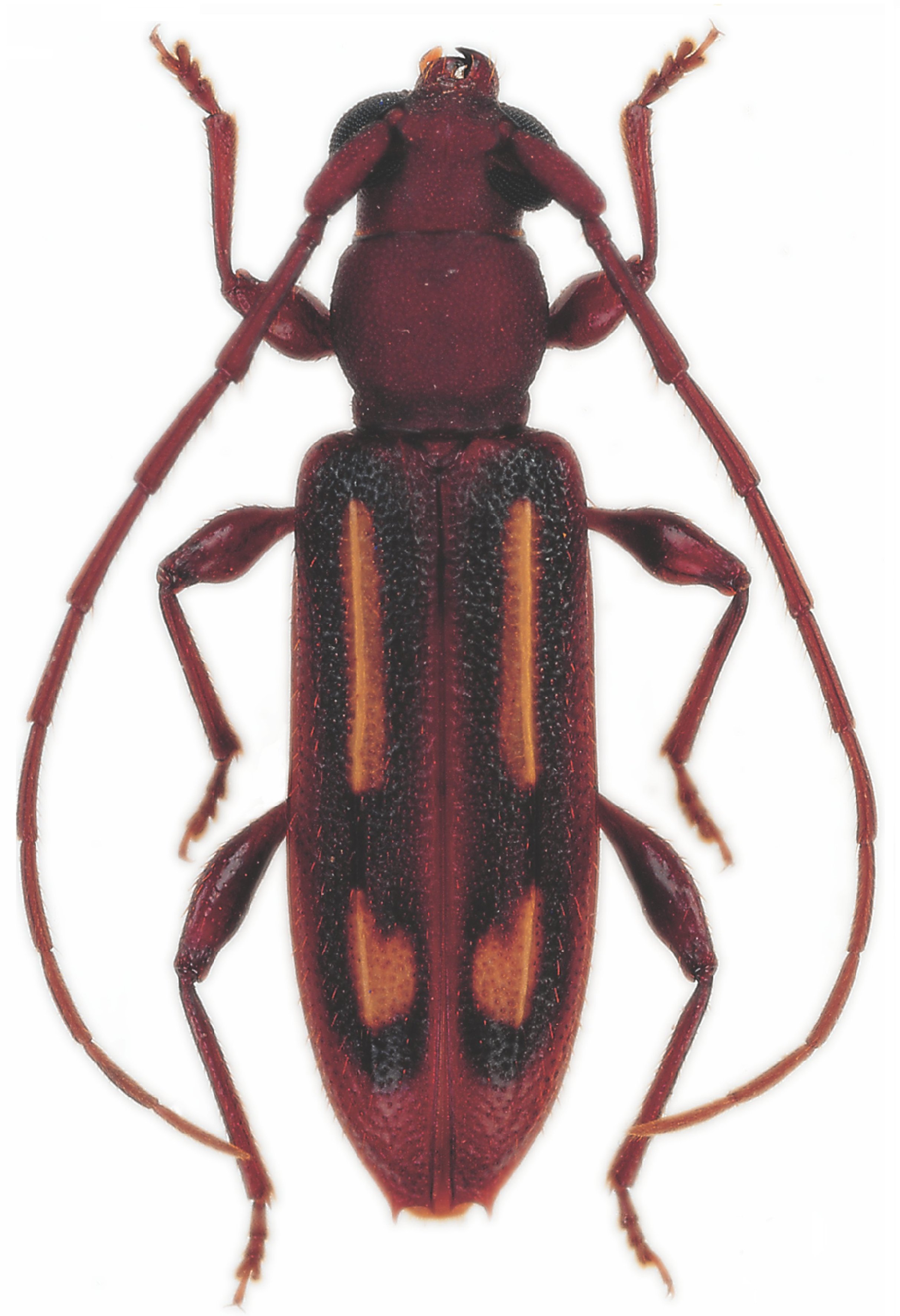
 Bates Camp des Nourages, French Guiana Tava.jpg)
Sex: f Photographer: Gerard Tavakilian Collection Location: Camp des Nourages, French Guiana 89981
|

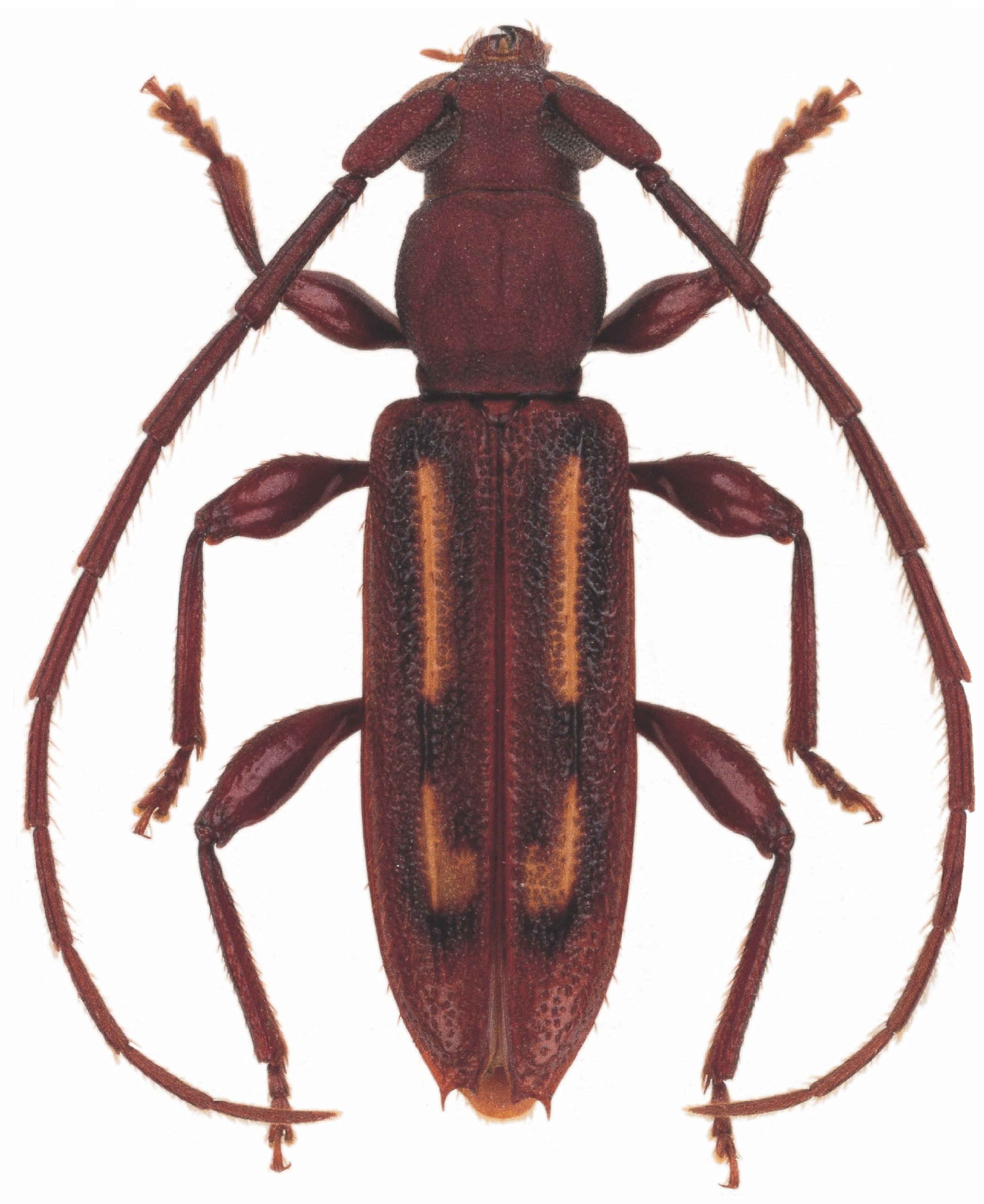
Photographer: Larry G. Bezark Determiner: Martins Collection Location: Napo, Ecuador 24645
|

Photographer: Larry G. Bezark Determiner: Martins Collection Location: Napo, Ecuador 24646
|

Photographer: Jim Wappes Collection Location: Bolivia 8191
|

Institution: LGBC Larry G. Bezark Collection, Sacramento, California, USA Photographer: Larry G. Bezark Collection Location: 2 km NE Ahuano, Napo, Ecuador 8192
|

Photographer: Jim Wappes Collection Location: Bolivia 8193
|

21951
|