_(m)_Gahan_BMNH_JAC.jpg)
Specimen Type: lectotype Sex: m Institution: BMNH British Museum Natural History, London, UK Photographer: John Chemsak Collection Location: Mount Gay Est, on the Leeward side, Lesser Antilles 16735
|
_Fisher_USNM_=_inscriptus.jpg)
Haruspex insularis Fisher Specimen Type: holotype Sex: f Institution: NMNH United States National Museum, Washington, DC, USA Collection Location: British West Indies 25918
|
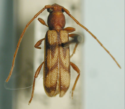
_Fisher_Trinidad_and_Tobago_USNM_SWL_=_Haruspex_inscriptus_Gahan.jpg)
Haruspex similis Fisher Specimen Type: holotype Sex: f Institution: NMNH United States National Museum, Washington, DC, USA Photographer: Steve Lingafelter Collection Location: Trinidad & Tobago 8196
|

Institution: UCB Essig Museum of Entomology, Berkeley, California, USA Photographer: Larry G. Bezark Determiner: Martins Collection Location: Oaxaca, Mexico 8190
|
|