New Search Family, Subfamily and Tribe List

SubFamily Cerambycinae

Tribe Piezocerini Haruspicina
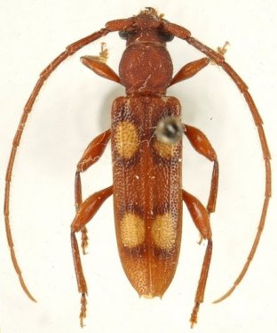
Haruspex celatus Lane 1970

Specimen Type: holotype
Sex: m
Institution: AMNH American Museum of Natural History, New York, NY, USA
Collection Location: Alto Rio Opon, Santander, Colombia
27767


21949

130425