New Search Family, Subfamily and Tribe List

SubFamily Lamiinae

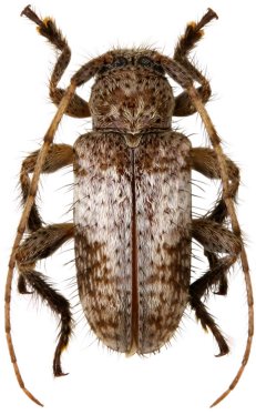
Tribe Desmiphorini
Blabicentrus littoralis Dalens, Touroult & Tavakilian 2009

Specimen Type: holotype
Sex: f
Collection Location: Champs, Virgile La Carapa, French Guiana
27565

130425