_White_BMNH_Brazil_nowHaruspex_LGB.jpg)
Ozodes brevipes White Specimen Type: holotype Institution: BMNH British Museum Natural History, London, UK Photographer: Larry G. Bezark Collection Location: Brazil 47169
|
_White_BMNH_Tav_=_Haruspex.jpg)
Ozodes brevipes White Specimen Type: holotype Institution: BMNH British Museum Natural History, London, UK Photographer: Gerard Tavakilian Collection Location: Brazil 17981
|
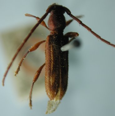
_LGB.jpg)
Photographer: Larry G. Bezark 8187
|
_Shushufindi_Sucumbios_EC_LGB.jpg)
Institution: LGBC Larry G. Bezark Collection, Sacramento, California, USA Photographer: Larry G. Bezark Collection Location: Shushufindi, Sucumbios, Ecuador 49260
|
|