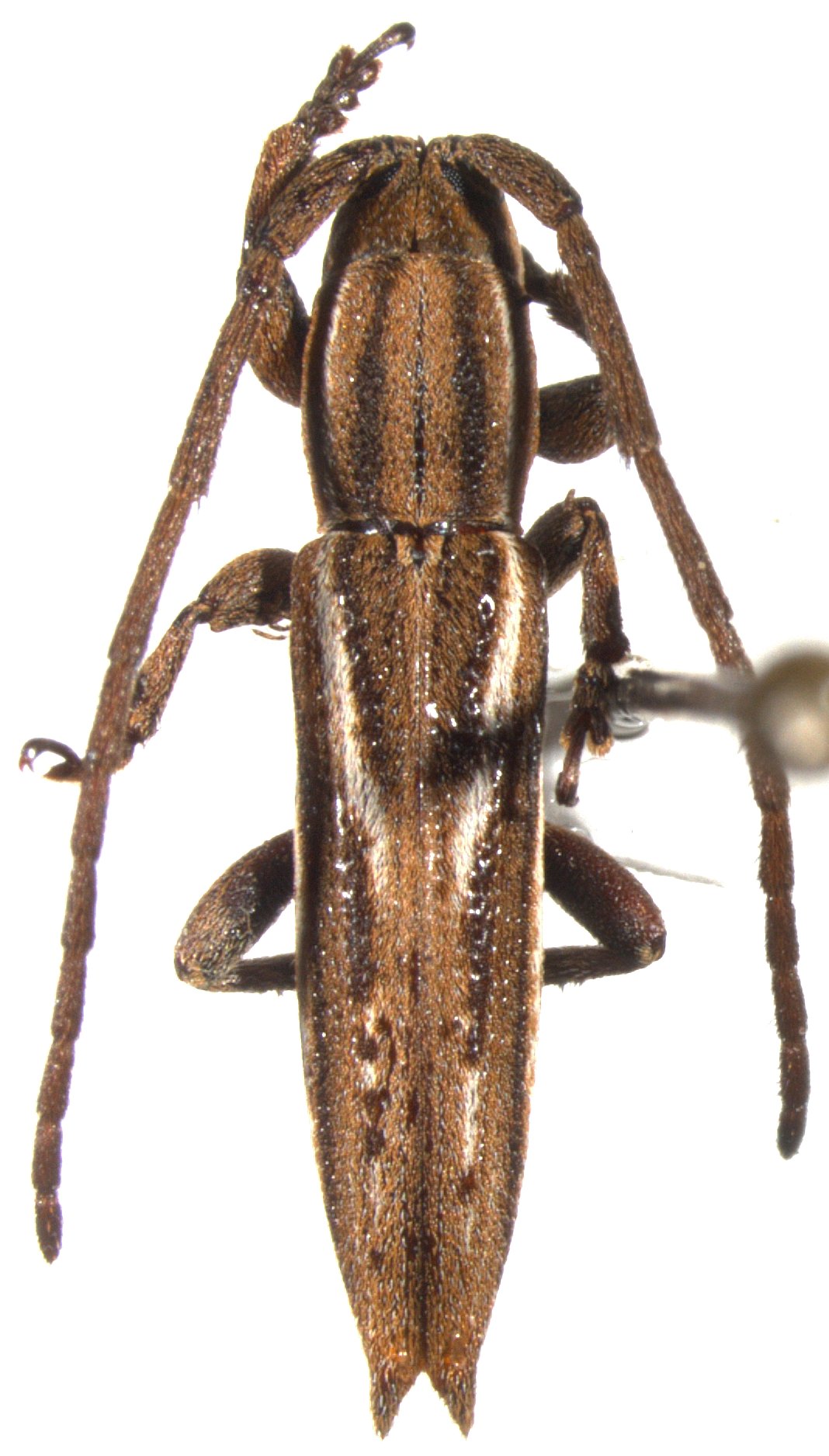
_Monne_and_Monne_MNRJ_Itatiaia_RJ_Brazil.jpg)
Specimen Type: holotype Sex: m Institution: MNRJ Museu Nacional Universidade do Rio Janeiro, Brazil Photographer: Larry G. Bezark Collection Location: Itatiaia National Park, Rio de Janeiro, Brazil 33119
|
_Monne_and_Monne_MNRJ_Parq_Nac_do_Itatiaia_RJ_Brazil.jpg)
Specimen Type: holotype Sex: m Institution: MNRJ Museu Nacional Universidade do Rio Janeiro, Brazil Photographer: Marcela Monne Collection Location: Itatiaia National Park, Rio de Janeiro, Brazil 27695
|