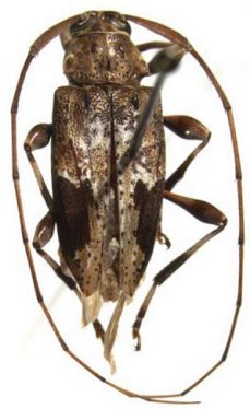
_Monne_4-6km_SSE_Buena_Vista_SC_Bolivia.jpg)
Tropidozineus albidus Monne Specimen Type: paratype Sex: f Collection Location: 4-6km SSE Buena Vista, Santa Cruz, Bolivia 27637
|
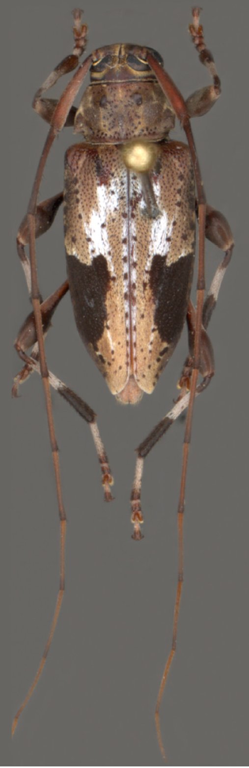
_NMNH_Flora_Fauna_SC_Bolivia_.jpg)
Institution: NMNH United States National Museum, Washington, DC, USA Collection Location: Flora & Fauna Hotel, Santa Cruz, Bolivia 69892
|