New Search Family, Subfamily and Tribe List

SubFamily Cerambycinae

Tribe Plectromerini
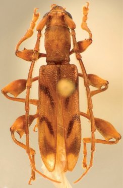
Plectromerus roncavei Nearns & Miller 2009

Specimen Type: paratype
Sex: m
27598


Specimen Type: paratype
Sex: m
27599

130425