_Aurivillius_NHRS_Sibuyan_Philippines.jpg)
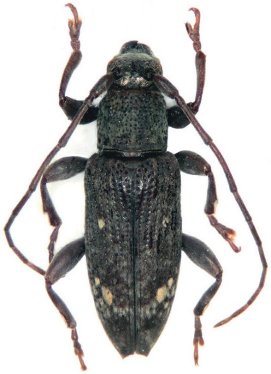
Specimen Type: syntype Sex: f Institution: NHRS Naturhistoriska Riksmuseet, Stockholm, Sweden Photographer: Udo Schmidt Collection Location: Sibuyan Island, Philippines 62824
|

Institution: JCPC Jim Cope Collection, San Jose, California, USA now at CSCA, Sacramento Photographer: Larry G. Bezark Determiner: Andre Skale Collection Location: Mt Makiling, Luzon, Philippines 100018
|