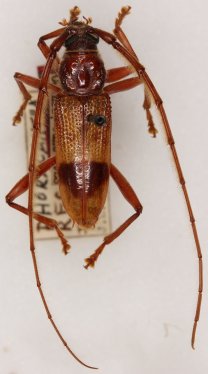
_Newman_BMNH_Aust_Slip_Esc.jpg)
Specimen Type: holotype Institution: BMNH British Museum Natural History, London, UK Photographer: Slipinski & Escalona Collection Location: Australia 61804
|
_Gressitt_BPBM_Nobuo_Ohbay.jpg)
Phoracantha recurva papua Gressitt Specimen Type: holotype Sex: m Institution: BPBM Bernice P. Bishop Museum, Honolulu, Hawaii, USA Photographer: Nobuo Ohbayashi Collection Location: near Port Moresby, Papua New Guinea 45107
|
_Pascoe_BPBM_Port_Moresby_PGN_now_recurva_Slip_Esc.jpg)
Phoracantha recurva papua Pascoe Specimen Type: paratype Sex: m Institution: BPBM Bernice P. Bishop Museum, Honolulu, Hawaii, USA Photographer: Slipinski & Escalona Collection Location: Port Moresby, Papua New Guinea 61805
|

Photographer: Larry G. Bezark 3469
|

Institution: LGBC Larry G. Bezark Collection, Sacramento, California, USA Photographer: Larry G. Bezark 56658
|
|