_Bates_BMNH_FTH_=_Trichophoroides.jpg)
Trichophorus decipiens Bates Specimen Type: holotype Sex: f Institution: BMNH British Museum Natural History, London, UK Collection Location: River Sarstoon, Belize 18792
|
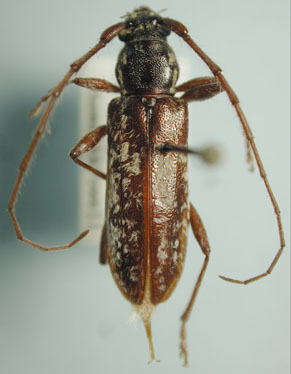
_Bates_BMNH_JAC_=_Trichophoroides.jpg)
Trichophorus decipiens Bates Specimen Type: holotype Sex: f Institution: BMNH British Museum Natural History, London, UK Photographer: John Chemsak Collection Location: River Sarstoon, Belize 18793
|
_BCA_as_Trichophorus.jpg)
Institution: BCA Biologia Centrali Americana Collection Location: as Trichophorus 14370
|
_Det_Chemsak_Chamela_UCB.jpg)
Institution: UCB Essig Museum of Entomology, Berkeley, California, USA Photographer: Larry G. Bezark Determiner: Chemsak Collection Location: Chamela, Jalisco, Mexico 14371
|
|