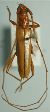
_Fisher_AMNH_Mayaguez_Puerto_Rico.jpg)
Specimen Type: holotype Sex: m Institution: AMNH American Museum of Natural History, New York, NY, USA Collection Location: Mayaguez, Puerto Rico 27946
|
_Det_Ivie_Puerto_Rico_UCB.jpg)
Institution: UCB Essig Museum of Entomology, Berkeley, California, USA Photographer: Larry G. Bezark Determiner: Mike Ivie Collection Location: Puerto Rico 13639
|