_Pascoe_BMNH_Dorey.jpg)
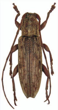
Specimen Type: holotype Sex: f Institution: BMNH British Museum Natural History, London, UK Determiner: Vernate Collection Location: Dorey, Papua New Guinea 62780
|

Institution: CAS California Academy of Sciences, San Francisco, CA, USA Photographer: Larry G. Bezark 62781
|