New Search Family, Subfamily and Tribe List

SubFamily Lamiinae

Tribe Apomecynini
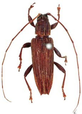
Sybra bisignata Schwarzer 1931

Specimen Type: paratype
Institution: LIPI Lembaga Ilmu Pengetahuan, Bogor, Indonesia
Photographer: Larry G. Bezark
Collection Location: Idjen, Kendeng, Ill East Java
44339


Photographer: Makihara
Collection Location: West Java, Indonesia
62694

130425