_Gounelle_MNHN_FTH.jpg)
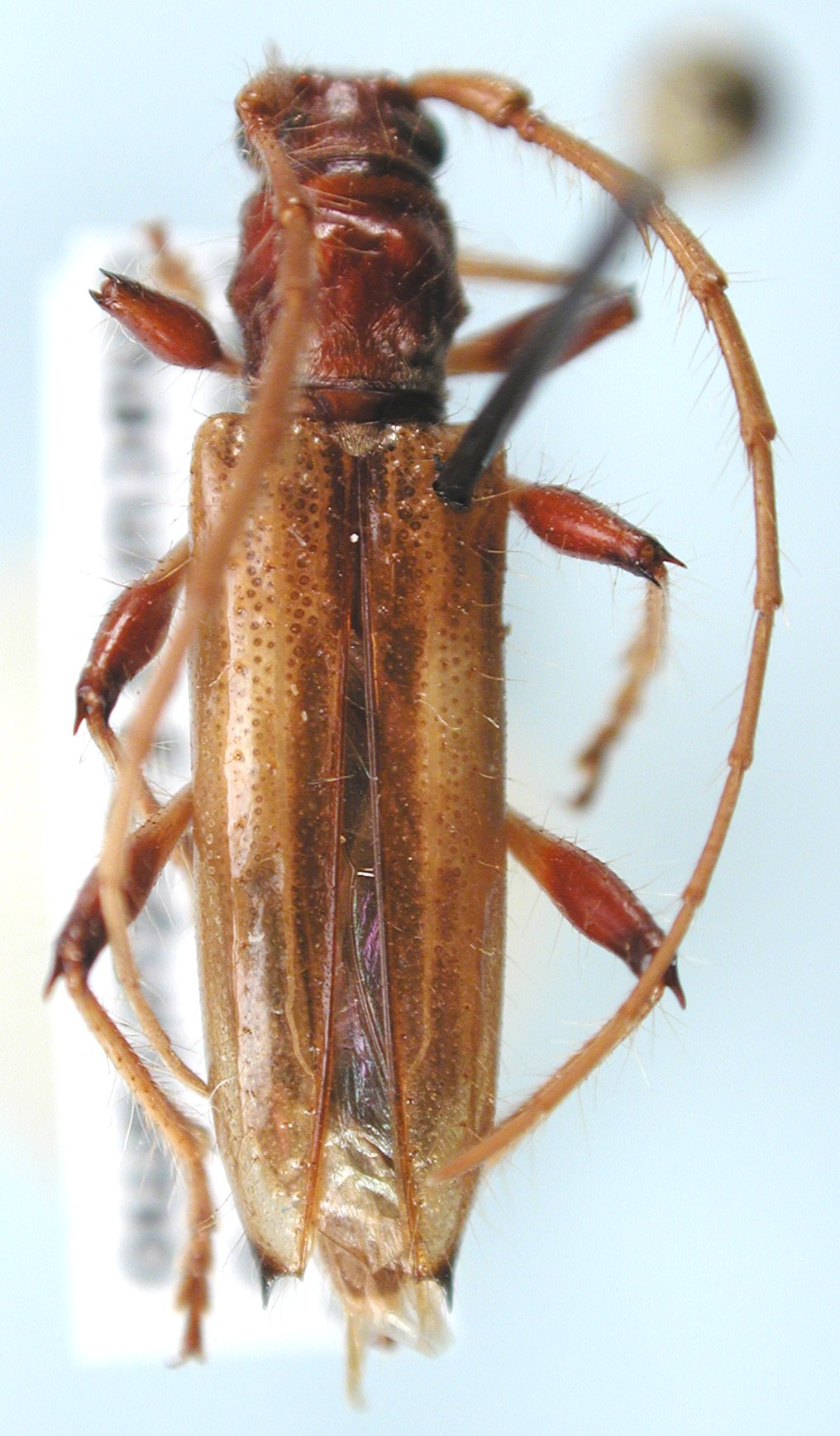
Specimen Type: holotype Sex: f Institution: MNHN Museum of Natural History Paris, France Collection Location: Jatai, Goias, Brazil 18605
|

Institution: LGBC Larry G. Bezark Collection, Sacramento, California, USA Photographer: Larry G. Bezark Collection Location: Chacurru Ecotourism, Amambay, Paraguay 69713
|

Institution: LGBC Larry G. Bezark Collection, Sacramento, California, USA Photographer: Larry G. Bezark Collection Location: Chacurru Ecotourism, Amambay, Paraguay 69714
|
|