_Fuchs_Zootaxa_2004.jpg)
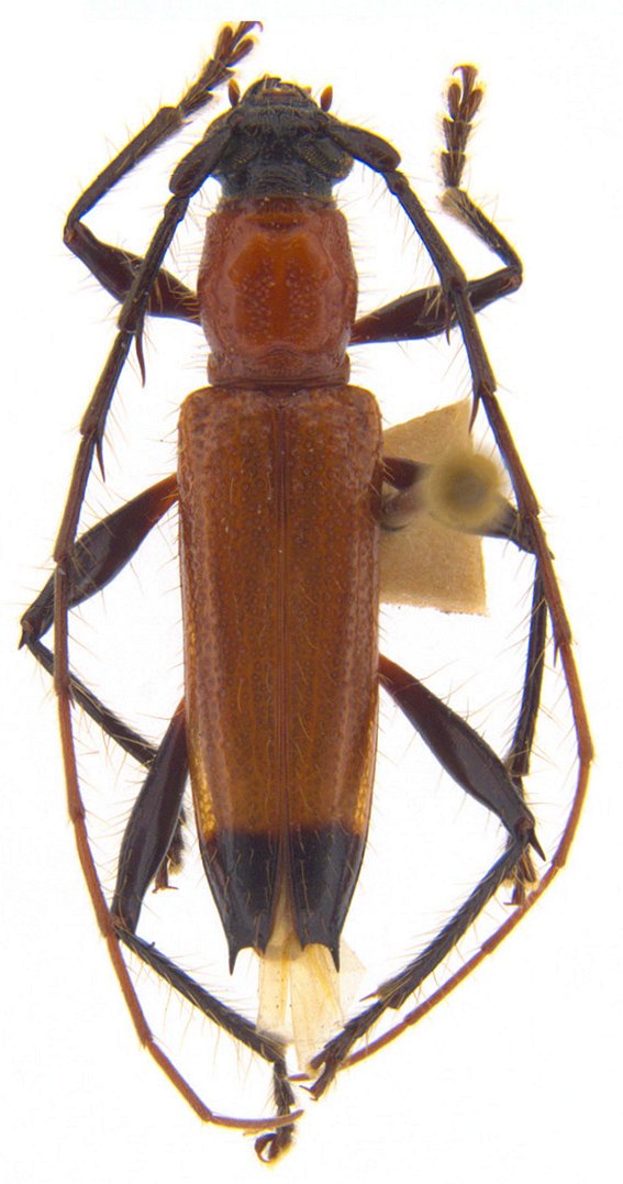
Specimen Type: holotype Institution: HS Herbert Schmid Collection, Vienna, Austria Photographer: Herbert Schmid Collection Location: Boa Vista, Rio Branco, Roraima, Brazil 13619
|

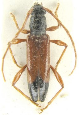
Institution: MNRJ Museu Nacional Universidade do Rio Janeiro, Brazil Photographer: Steve Lingafelter 13620
|

Photographer: Monne Collection Location: Manaus, Amazonas, Brazil 68132
|

Photographer: Jean-Louis Giuglaris Collection Location: Saul, French Guiana 29357
|
|