New Search Family, Subfamily and Tribe List

SubFamily Lamiinae

Tribe Apomecynini
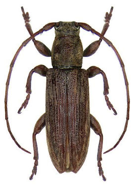
Sybra aequabilis Breuning 1939

Specimen Type: holotype
Sex: m
Institution: MSNG Museo Civico di Storia Naturale, Giacomo Doria, Genova, Italy
62697


Photographer: Udo Schmidt
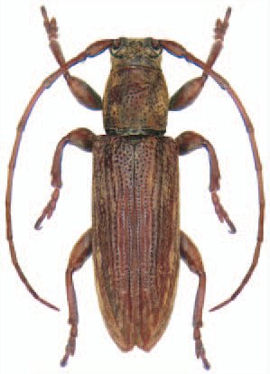
62698


Sybra beccarii Breuning
Photographer: Udo Schmidt
Collection Location: Kandari, Sulawesi
62712

130425