 Breuning IRSNB Papua New Guinea now Atelais AW.jpg)
Sybra longicornis Breuning Specimen Type: holotype Sex: m Institution: IRSNB Royal Belgian Institute of Natural Sciences, Brussels, Belgium Photographer: Andreas Weigel Collection Location: Papua New Guinea 75784
|
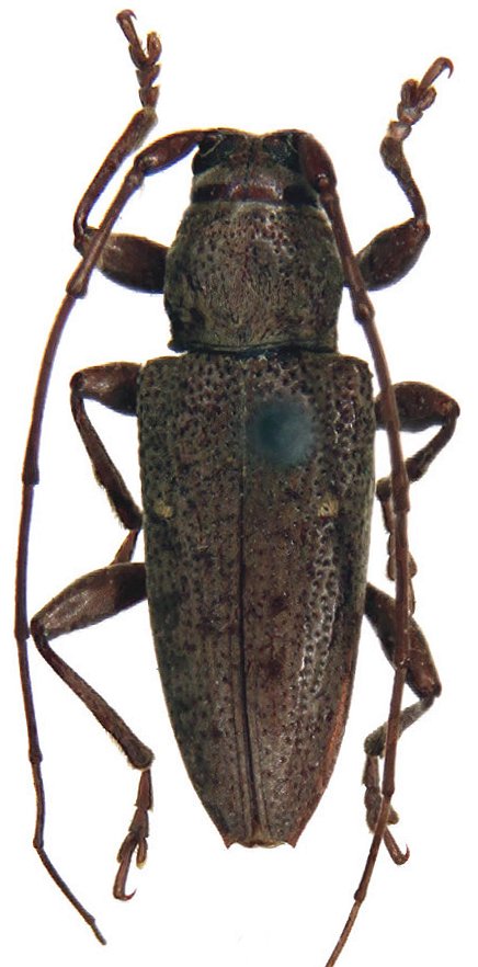
 Br and de Jong RMNH Andai PNG now Atelais longicornis AW.jpg)
Sybra quadristicta Breuning & de Jong Specimen Type: holotype Sex: m Institution: RMNH Rijksmuseum van Natuurlijke Historie, Leiden, Netherlands Photographer: Andreas Weigel Collection Location: Andai, Papua New Guinea 75785
|