New Search Family, Subfamily and Tribe List

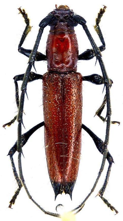
SubFamily Cerambycinae

Tribe Elaphidiini
Stizocera lissonota (Bates, 1870)

Photographer: Jim Wappes
Collection Location: Bolivia
13611


Photographer: Larry G. Bezark
13612


Photographer: Jean-Louis Giuglaris
Collection Location: Kaw, French Guiana
68131

130425