_Linsley_CAS_4097_LGB.jpg)
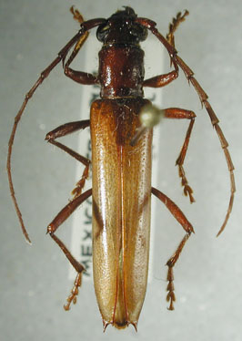
Specimen Type: holotype Sex: f Institution: CAS California Academy of Sciences, San Francisco, CA, USA Photographer: Larry G. Bezark Collection Location: Punta Gorda, Toledo, Belize 20726
|

Institution: EMG Ed Giesbert Collection (now at FSCA) Collection Location: Biol stat Los Tuxtlas, Veracruz, Mexico 13610
|