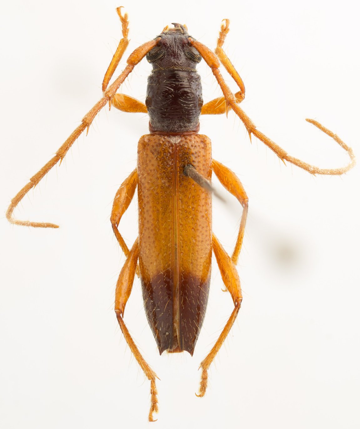
_Gilmour_NMNH_Santa_Margarita_Hill_Trinidad_Tobago_Lap.jpg)
Specimen Type: holotype Sex: m Institution: CNC Canadian National Collection of Insects, Ottawa, Ontario, Canada Photographer: Serge Laplante, photograph and data Determiner: Copyright of
Agriculture & Agri Food Canada Collection Location: Santa Margarita Hill, Trinidad, Trinidad & Tobago 63091
|
_Gilmour_NMNH_Santa_Margarita_Hill_Trinidad_Tobago_Lap.jpg)
Specimen Type: holotype Sex: m Institution: CNC Canadian National Collection of Insects, Ottawa, Ontario, Canada Photographer: Serge Laplante, photograph and data Determiner: Copyright of
Agriculture & Agri Food Canada Collection Location: Santa Margarita Hill, Trinidad, Trinidad & Tobago 63092
|
_Gilmour_NMNH_Santa_Margarita_Hill_Trinidad_Tobago_Lap.jpg)
Specimen Type: holotype Sex: m Institution: CNC Canadian National Collection of Insects, Ottawa, Ontario, Canada Photographer: Serge Laplante, photograph and data Determiner: Copyright of
Agriculture & Agri Food Canada Collection Location: Santa Margarita Hill, Trinidad, Trinidad & Tobago 63093
|
_Gilmour_NMNH_Santa_Margarita_Hill_Trinidad_Tobago_Lap.jpg)
Specimen Type: holotype Sex: m Institution: CNC Canadian National Collection of Insects, Ottawa, Ontario, Canada Photographer: Serge Laplante, photograph and data Determiner: Copyright of
Agriculture & Agri Food Canada Collection Location: Santa Margarita Hill, Trinidad, Trinidad & Tobago 63094
|
|