_Zajciw_MNRJ_SWL.jpg)
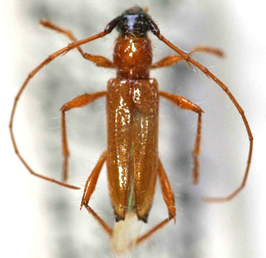
Specimen Type: holotype Sex: m Institution: MNRJ Museu Nacional Universidade do Rio Janeiro, Brazil Photographer: Steve Lingafelter Collection Location: Parque de Reserva (Soóretama), Espirito Santo, Brazil 13599
|

Institution: MZSP Museu de Zoologia da Universidade de São Paulo, Brazil Photographer: Steve Lingafelter 13600
|