_White_BMNH_Brazil_nowStizocera_LGB.jpg)
Sphaerion armigerum White Specimen Type: holotype Institution: BMNH British Museum Natural History, London, UK Photographer: Larry G. Bezark Collection Location: Brazil 47318
|
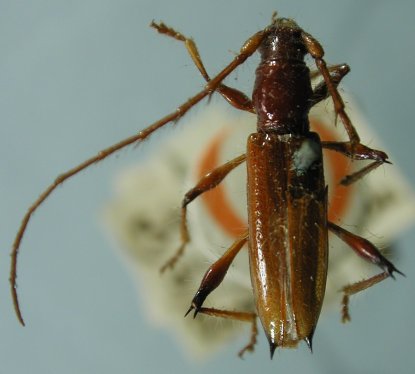
_(White)_MSZP_SS.jpg)
Sex: m Institution: MZSP Museu de Zoologia da Universidade de São Paulo, Brazil Photographer: Antonio Santos-Silva 67904
|