_Breuning_BPBM_Nobuo_Ohbay.jpg)
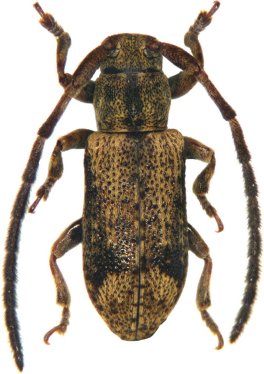
Rondonia ropicoides Breuning Specimen Type: holotype Institution: BPBM Bernice P. Bishop Museum, Honolulu, Hawaii, USA Photographer: Nobuo Ohbayashi Collection Location: environs de Vientiane, Vientiane, Laos 45372
|

Institution: LGBC Larry G. Bezark Collection, Sacramento, California, USA Photographer: Larry G. Bezark Determiner: Xavier Gouverneur, Cerambycoidea Forum Collection Location: Chiang Mai, Thailand 50364
|