New Search Family, Subfamily and Tribe List

SubFamily Lamiinae

Tribe Apomecynini
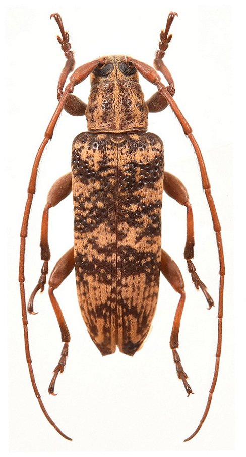
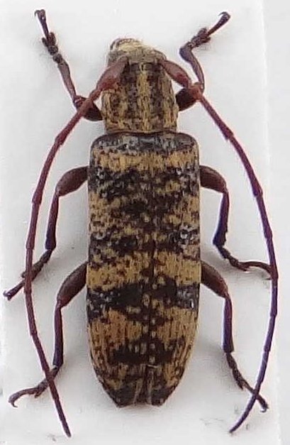
Parepilysta striatipennis Breuning 1949

Sex: f
Photographer: Andre Skale, Cerambycoidea Forum
Collection Location: Lao Cai Province, Vietnam
79634


Photographer: Jian Sun
Collection Location: Honghe, Pingbian, Daweishan, Yunnan, China
101507

130425