New Search Family, Subfamily and Tribe List

SubFamily Lamiinae

Tribe Apomecynini
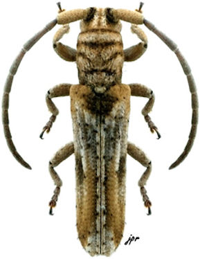
Ogmodera sulcata Aurivillius 1908

Sex: m
Photographer: Karl Adlbauer
Collection Location: Ethiopia
72703


Sex: f
Photographer: Karl Adlbauer
Collection Location: Ethiopia
72704


Sex: f
Photographer: JP Roguet, https://lamiinae.org
Collection Location: vic Diani, Kenya
55010

130425