New Search Family, Subfamily and Tribe List

SubFamily Lamiinae

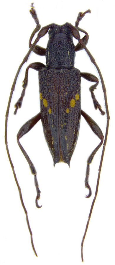
Tribe Apomecynini
Mimosybra trimaculata Breuning 1953

Sex: m
Institution: Weigel Collection
Photographer: Andreas Weigel
Collection Location: Morobe Province, Papua New Guinea
75763

130425