_Viktora_Coll_25kmSE_Sen_Monorom_E_Cambodia_Vikt.jpg)
Specimen Type: holotype Sex: m Institution: Viktora Collection Photographer: Petr Viktora Collection Location: 25 km SE Sen Monorom, E Cambodia 71393
|
_Viktora_Coll_25kmSE_Sen_Monorom_E_Cambodia_Vikt.jpg)
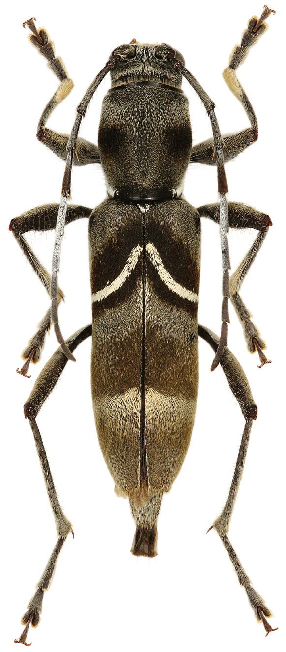
Specimen Type: paratype Sex: f Institution: Viktora Collection Photographer: Petr Viktora Collection Location: 25 km SE Sen Monorom, E Cambodia 71394
|