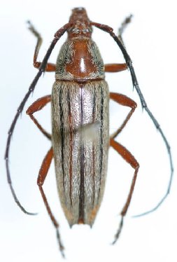
_(m)_Bates_BMNH_JAC.jpg)
Specimen Type: lectotype Sex: m Institution: BMNH British Museum Natural History, London, UK Photographer: John Chemsak Collection Location: Santo Domingo, Chontales, Nicaragua 18585
|

Photographer: Steve Lingafelter Collection Location: Nicaragua 26601
|

Photographer: Ole Mehl Collection Location: Guanacaste, Costa Rica 39455
|

Institution: BCA Biologia Centrali Americana 13507
|

Institution: UCB Essig Museum of Entomology, Berkeley, California, USA Photographer: Larry G. Bezark Determiner: Chemsak Collection Location: Chiapas, Mexico 13508
|

Institution: UCD University of California, Davis, California, USA Photographer: Larry G. Bezark Determiner: Chemsak 13509
|
|