_Monne_and_Monne_Nearns.jpg)
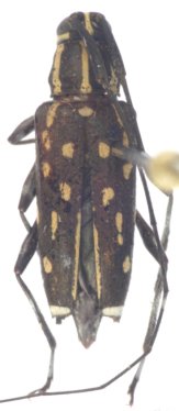
Specimen Type: holotype Sex: f Institution: NMNH United States National Museum, Washington, DC, USA Photographer: Gino Nearns Collection Location: Yasuni Research Station, Napo, Ecuador 42528
|

Specimen Type: holotype Sex: f Institution: NMNH United States National Museum, Washington, DC, USA Collection Location: Yasuni Research Station, Napo, Ecuador 27526
|