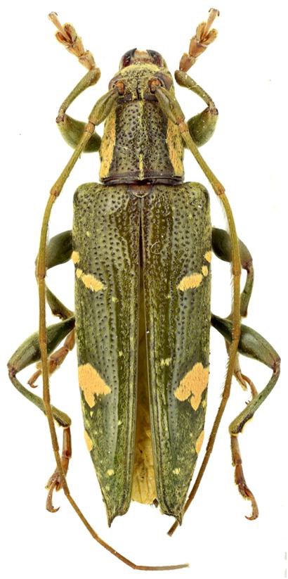
_(Schwarze)_Nueva_Vizcaya_Luzon_Philippines_Les_Cahiers.jpg)
Sex: m Determiner: Les Cahiers Magellanes Collection Location: Nueva Vizcaya, Luzon, Philippines 40897
|
_DUBC_Mt_Polis_Mountain_Prov_Luzon_Barsevskis_pic.jpg)
Institution: DUBC Daugavpils University, Coleopterological Research Center, Latvia Photographer: Arvids Barsevskis Collection Location: Mt Polis, Mountain Province, Luzon, Philippines 75541
|