New Search Family, Subfamily and Tribe List

SubFamily Lamiinae

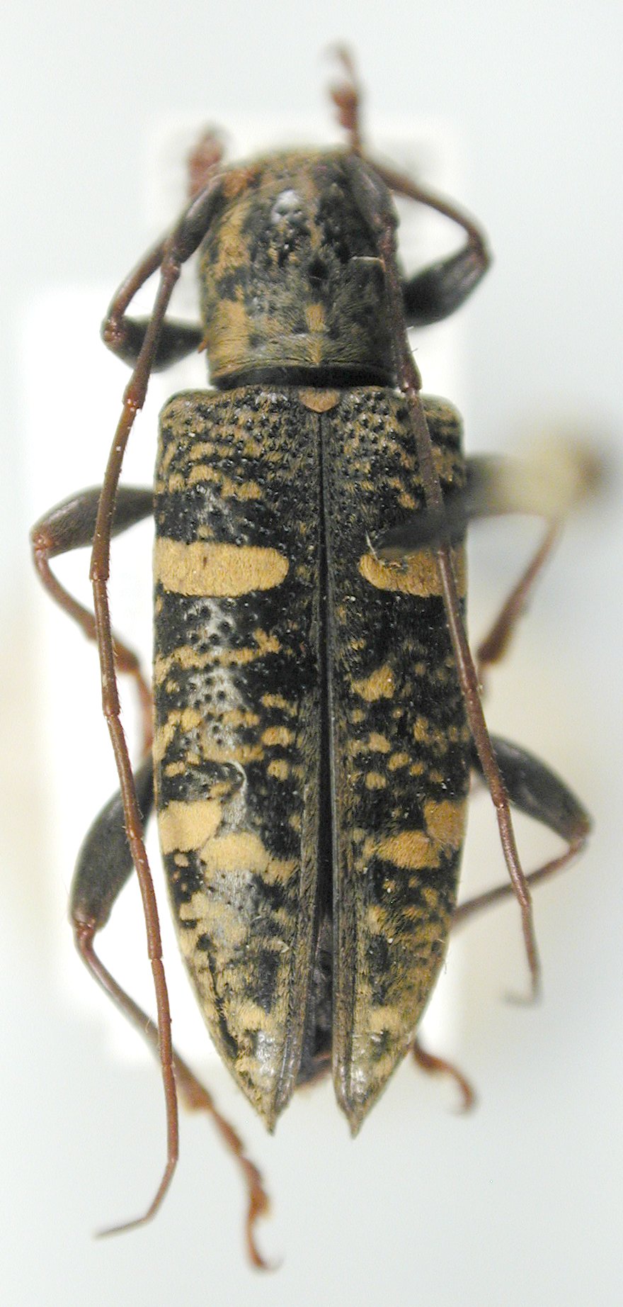
Tribe Apomecynini
Falsepilysta bifasciata Heller 1923

Institution: JCPC Jim Cope Collection, San Jose, California, USA now at CSCA, Sacramento
Photographer: Larry G. Bezark
Determiner: Jim Cope
Collection Location: Puerto Galera, Mindoro, S Luzon, Philippines
97806

130425