New Search Family, Subfamily and Tribe List

SubFamily Cerambycinae

Tribe Elaphidiini
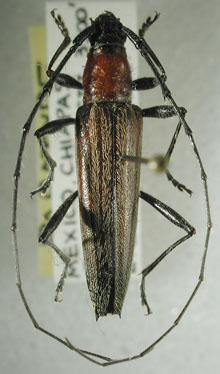
Stenosphenus langurioides wappesi Giesbert & Chemsak 1989

Specimen Type: paratype
Institution: EMG Ed Giesbert Collection (now at FSCA)
Collection Location: Tuxtla Gutierrez, Chiapas, Mexico
13498

130425