New Search Family, Subfamily and Tribe List

SubFamily Lamiinae

Tribe Eunidiini
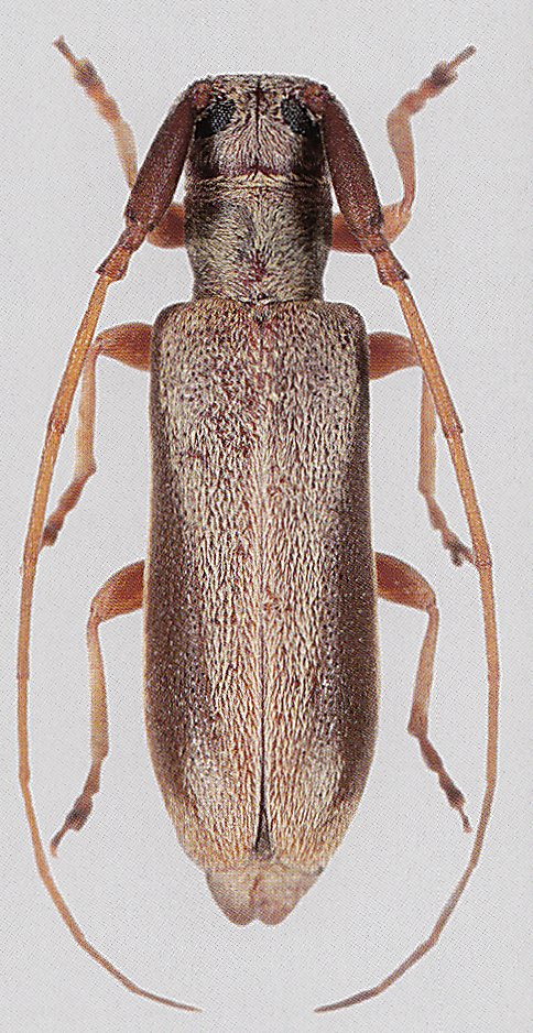
Eunidia suturealba Breuning 1942

Sex: m
Photographer: Karl Adlbauer
Collection Location: Ethiopia
72396


Sex: f
Photographer: Karl Adlbauer
Collection Location: Ethiopia
72397

130425