_Bates_BMNH_El_Reposo_Quezaltenango_Guat_LGB.jpg)
Specimen Type: holotype Sex: m Institution: BMNH British Museum Natural History, London, UK Photographer: Larry G. Bezark Collection Location: El Reposo, Quezaltenango, Guatemala 47336
|
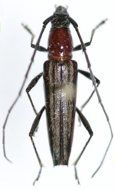
_Linsley_CAS_3879_LGB_=_Stenosphenus_languroides_languroides.jpg)
Stenosphenopsis nitidicollis Linsley Specimen Type: holotype Sex: m Institution: CAS California Academy of Sciences, San Francisco, CA, USA Photographer: Larry G. Bezark Collection Location: Bejucos, México (District of Temascaltepec), Mexico 24114
|