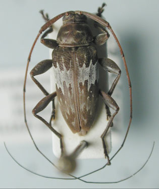
_Monne_MNRJ_SWL.jpg)
Nyssodrysternum lemniscatum Monne Specimen Type: holotype Institution: MNRJ Museu Nacional Universidade do Rio Janeiro, Brazil Photographer: Steve Lingafelter 10735
|
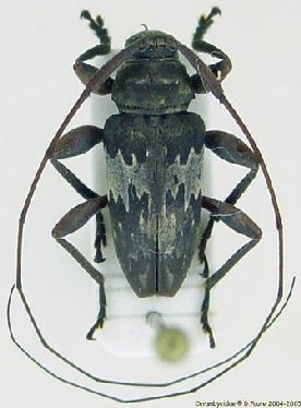
_Breuning_MNHN_=_Nyssodrysternum_TAV_photo.jpg)
Pseudoleiopus borneanum Breuning Specimen Type: holotype Sex: m Institution: MNHN Museum of Natural History Paris, France 27515
|
_Kaw_FG_JLG.jpg)
Photographer: Jean-Louis Giuglaris Collection Location: Kaw, French Guiana 68087
|

Nyssodrysternum lemniscatum Monne Institution: UCB Essig Museum of Entomology, Berkeley, California, USA Photographer: Larry G. Bezark Determiner: Tavakilian Collection Location: French Guiana 10736
|

Nyssodrysternum lemniscatum Monne Photographer: Denis Faure Collection Location: French Guiana 22140
|