 Teocchi BMNH Mafinga, Tanzania KM.jpg)
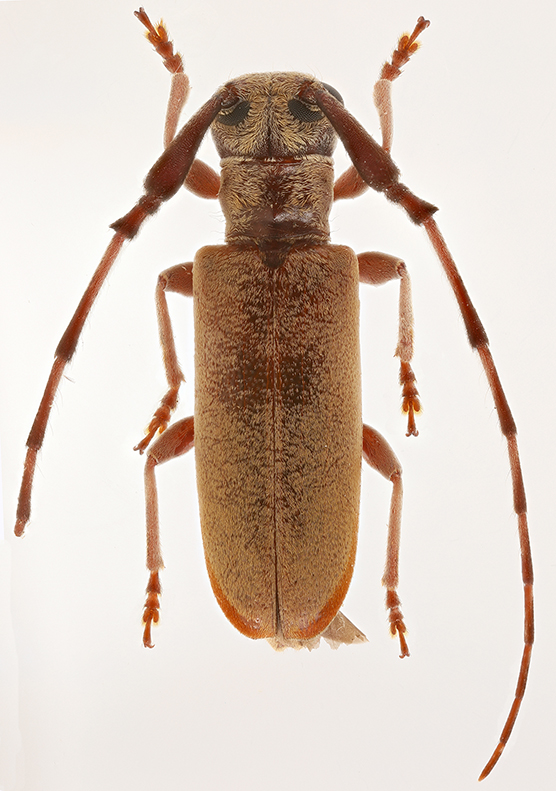
Specimen Type: paratype Institution: BMNH British Museum Natural History, London, UK Photographer: Keita Matsumoto Collection Location: Mafinga, Tanzania 76227
|
 Teocchi BMNH Mafinga, Tanzania KM.jpg)
Specimen Type: paratype Institution: BMNH British Museum Natural History, London, UK Photographer: Keita Matsumoto Collection Location: Mafinga, Tanzania 76228
|
 Teocchi BMNH Mafinga, Tanzania KM.jpg)
Specimen Type: paratype Institution: BMNH British Museum Natural History, London, UK Photographer: Keita Matsumoto Collection Location: Mafinga, Tanzania 76229
|
 Teocchi BMNH KM.jpg)
Specimen Type: paratype Institution: BMNH British Museum Natural History, London, UK Photographer: Keita Matsumoto Collection Location: Mafinga, Tanzania 76230
|

Specimen Type: maybe this taxon Photographer: Denis Kasatkin, Cerambycoidea Forum Collection Location: Trigina district, Tanzania 72429
|
|