_Chemsak_and_Linsley_CAS_JAC.jpg)
Specimen Type: holotype Sex: m Institution: CAS California Academy of Sciences, San Francisco, CA, USA Photographer: John Chemsak Collection Location: 5 miles North of Rio Hondo, Oaxaca, Mexico 18534
|
_Chemsak_and_Linsley_UCB.jpg)
Specimen Type: allotype Sex: f Institution: UCB Essig Museum of Entomology, Berkeley, California, USA Collection Location: Oaxaca, Mexico 18533
|
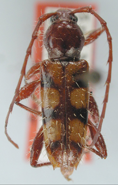
_Chemsak_and_Linsley_Oaxaca_UCB.jpg)
Specimen Type: paratype Institution: UCB Essig Museum of Entomology, Berkeley, California, USA Photographer: Larry G. Bezark Collection Location: Oaxaca, Mexico 13308
|

13309
|
|