New Search Family, Subfamily and Tribe List

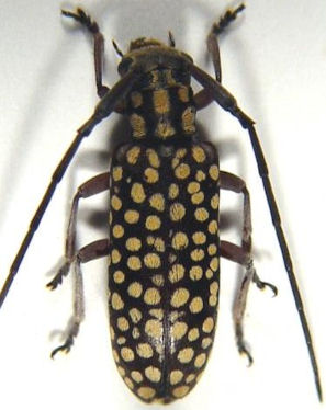
SubFamily Lamiinae

Tribe Eunidiini
Eunidia guttulata (Coquerel, 1851)

Institution: LGBC Larry G. Bezark Collection, Sacramento, California, USA
Photographer: Larry G. Bezark
Collection Location: Lusaka, Zambia
40348


Photographer: Mickael Francois, Cerambycoidea Forum
Collection Location: Tanzania
40350


Determiner: Faune de Madagascar
Collection Location: Madagascar
40349

130425